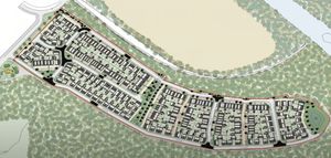
'Someone has had a serious giggle in the office!' Readers react to 'penis-shaped' Telford housing estate plan
While Lawley residents fret over the impact that 250 new homes might have on their neighbourhood, the housing plans caused a stir on social media for a whole different reason.
Earlier this week we reported the latest development on plans to build 250 new homes in Lawley - which are looking likely to be approved next week.
The plans have been causing some stir for a while now, with local residents raising concerns over the loss of green space, the impact on traffic and the increased pressure on local infrastructure.
But there's one thing we've skirted around mentioning - the questionable shape of the development plan.
As serious and grown-up as we'd like to be, there's no getting away from the fact it's shaped like a giant penis. And, of course, our readers noticed too.
While some comments on social media raised concerns you'd expect to see about almost any new housing development, most took the opportunity to make light of the situation.
One comment read: "Someone has had a serious giggle in the office today!"
"I'm glad everyone is thinking what I'm thinking," one reader commented.
Another commenter quipped: "A new meaning to the phrase erection of dwellings!"
"Objections or erections?" another added, while someone else wrote: "I understand that they are facing stiff resistance."
Bizarrely, it's not the first time this year that a phallic-shaped plan for a housing development has caused some chuckling in Shropshire.
Just last February, Shropshire Councillor Ed Potter made a light reference to the shape of a proposed development on the former Ironbridge power station site.

“I wouldn’t recommend there are any aerial views for marketing purposes when they try and sell the properties,” said Councillor Potter, at a meeting of Shropshire Council's planning committee in February.
“Other than that, the properties are good and it’ll provide much-needed homes for Shropshire residents.”





